Incidenteel

Koningspage

Iphiclides podalirius

Vliegtijd & gedrag

De koningspage vliegt in één tot drie generaties. Zwervers die in Nederland worden gezien zijn van de eerste generatie die in mei en juni vliegt of van de tweede generatie die in augustus en september vliegt.

Koningspage

Verspreiding in Nederland

Koningspage

Trends

De grafiek toont de veranderingen van de talrijkheid in de loop van de tijd. De gegevens zijn afkomstig uit het Landelijk Meetnet Vlinders (CBS / De Vlinderstichting) en de Nationale Databank Flora en Fauna.

Levenscyclus

Er zijn geen waarnemingen van rupsen bekend in Nederland. De soort overwintert als pop in de kruidlaag. De eieren worden afgezet op bladeren van kleine struikjes van de waardplant.

Herkenning

Kenmerken vlinder

Voorvleugellengte: 32-39 mm. De grondkleur van boven- en onderkant van de vleugels is wit tot crèmekleurig. Op de bovenkant van de voorvleugel bevinden zich enkele zwarte strepen die dwars over de vleugel lopen. Op de bovenkant van de achtervleugel liggen langs de achterrand enkele blauwe maanvlekken. Opvallend zijn de staartjes aan de achtervleugel.

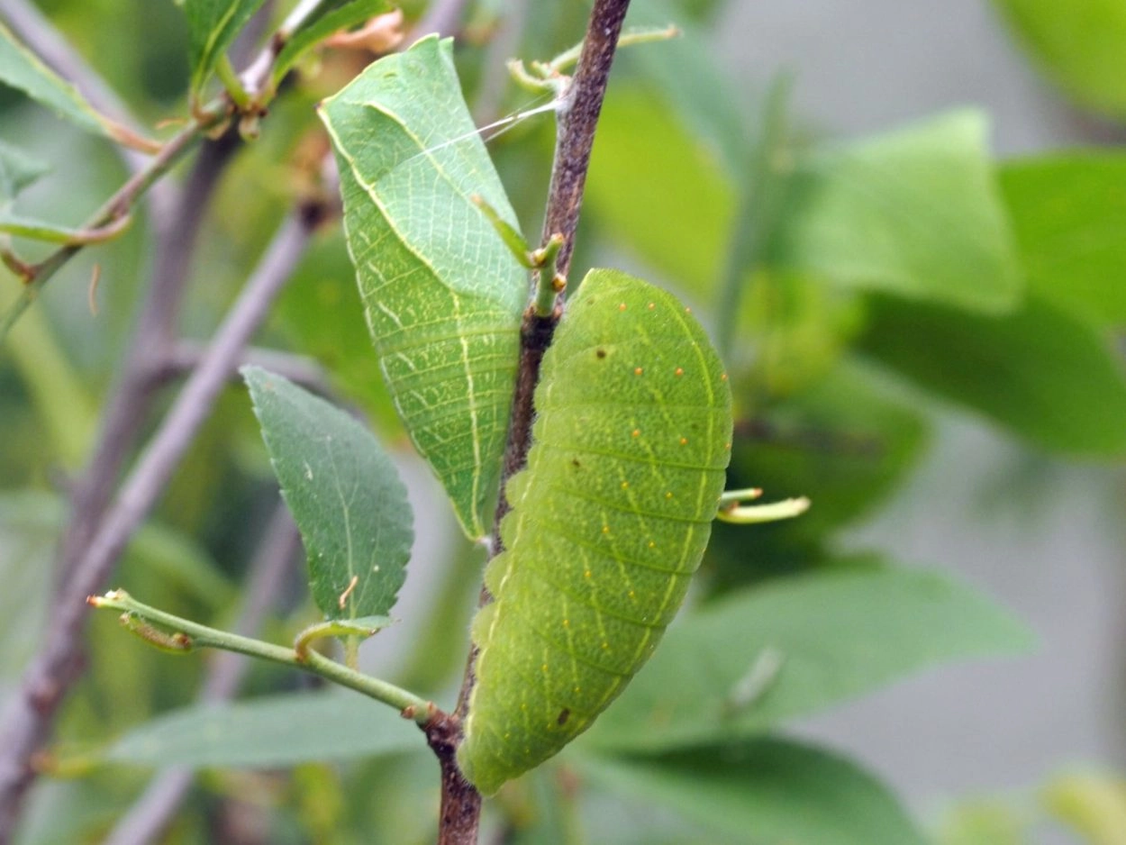
Kenmerken rups

Tot 40 mm; zeer plompe rups die naar beide uiteinden smal toeloopt; lichaam groen met een geelachtige streep over het midden van de rug en aan weerszijden een rij schuine geelachtige strepen waarin kleine verheven rode of gele vlekjes zijn geplaatst; kop groen, vaak in het lichaam teruggetrokken.

Gelijkende soorten vlinder

Zie de koninginnenpage.

Foto's

Verspreiding

Zeldzaamheid

De koningspage is een zwerver die ongeveer vijftig keer in Nederland gezien is. De laatste jaren wordt er gemiddeld één exemplaar per jaar gezien; in sommige warme jaren meerdere exemplaren. De dichtstbijzijnde populatie bevindt zich in het Rijn- en Ahrdal in Duitsland. De koningspage kan op eigen kracht naar Nederland komen, maar wordt ook geregeld gekweekt.

Mobiliteit

De koningspage wordt in de literatuur vermeld als weinig mobiel.

Europa

De koningspage wordt gevonden in geheel Zuid- en Midden-Europa. De dichtstbijzijnde populatie bevindt zich in het Rijn- en Ahrdal, ten zuiden van Bonn en Wallonië waar het een zeer zeldzame soort is.

Mondiaal

Van Europa, met uitzondering van Britse eilanden en Scandinavië, naar het oosten tot China. Naar het noorden tot plm de 52e breedtegraad. Vlinders die daarboven worden waargenomen zijn zeldzame trekkers. Komt ook voor in Noord-Afrika. Het zwaartepunt ligt rond de Middellandse Zee.

Habitat

Heuvelachtige gebieden op warme en droge plaatsen; vooral open terreinen met vrijstaande struiken en ruigte.

Open landschappen algemeen

Waardplanten

Waardplanten zijn Sleedoorn en andere prunussoorten. Soms ook meidoorn.

Meidoorn

Sleedoorn

Benaming

  • Engelse naam Scarce Swallowtail
  • Duitse naam Segelfalter
  • Franse naam Le Flambé
    Voilier
  • Synoniemen Graphium podalirius
    Papilio podalirius

Meer over de naam

Toelichting Nederlandse naam

Toelichting wetenschappelijke naam
Iphiclides: iphiclides is iemand die een relatie heeft met Iphicles, een halfbroer van Hercules.podalirius: Podalirius is de broer van Macaon en ook arts in de Troje-oorlog.

Auteursnaam en jaartal
(Linnaeus, 1758)

Geef je waarneming door!

Heb je een bijzondere vlinder of libel gezien? Meld het ons! Jouw waarnemingen zijn waardevol voor het behoud van deze insecten. Samen kunnen we hun populaties in kaart brengen en beschermen. Help mee aan het behoud van deze prachtige dieren en draag bij aan de wetenschap van de biodiversiteit.

Waarneming melden