Paardenbijter

Aeshna mixta

Vliegtijd & gedrag

Paardenbijter

Verspreiding in Nederland

Paardenbijter

Trends

Levenscyclus

Een jaar, mogelijk soms twee jaar. De (eerste) winter wordt doorgebracht als ei. Uitsluipen gebeurt gedurende een lange periode (geen duidelijke piek), van eind juni tot eind september. De larvenhuidjes zijn te vinden tot op enkele decimeters hoogte op stengels van oever-/ of emerse vegetatie.

Herkenning

Kenmerken

Lengte: 56-64 mm. De kleinste glazenmaker. Achterlijf donker met mozaïektekening van licht gekleurde vlekken. Zijkant borststuk donker, met twee gele banden, die aan de bovenkant vaak blauw getint zijn. Schouderstrepen bij beide geslachten gereduceerd tot korte streepjes. Op de rugzijde van achterlijfsegment 2 staat een grote gele spijkervormige figuur. Voorrandader van de vleugels bruin. - Mannetje: Ogen bruinblauw. Bovenzijde achterlijfsegmenten met twee vrijwel ronde blauwe vlekjes aan de achterrand. Op het midden van de segmenten staan twee kleine gele driehoekjes. - Vrouwtje: Ogen bruin met geel of groen. Achterlijfstekening met zowel gele als bruine vlekken, op de laatste paar segmenten alleen met gele vlekjes.

Gelijkende soorten

Gelijkende soorten: Venglazenmaker, zuidelijke glazenmaker (vooral vrouwtjes) en glassnijder. Meer over gelijkende soorten: De venglazenmaker heeft een vergelijkbare tekening van blauwe en gele vlekjes op het achterlijf en ook een vergelijkbaar patroon op de zijkant van het borststuk. De paardenbijter is echter duidelijk kleiner en is goed herkenbaar aan de gele spijker op achterlijfsegment 2. Verder is het goed om te weten dat de venglazenmaker bijna uitsluitend in de buurt van vennen is aan te treffen, terwijl de paardenbijter overal gezien kan worden. De zuidelijke glazenmaker is ongeveer even groot als de paardenbijter. Mannetjes zuidelijke glazenmaker zijn echter veel blauwer, zowel op ogen als achterlijf. Ze missen de gele spijker en kleine gele vlekjes op het achterlijf. De zijkant van het borststuk is niet bruin met twee gele banden zoals bij paardenbijter, maar geheel geel, groen of blauwig, met dunne zwarte strepen. Vrouwtjes zuidelijke glazenmaker hebben wel een gele spijker, maar zijn over het algemeen geler (of groener) en hebben een geheel geel borststuk met dunne zwarte lijnen. De glassnijder heeft ook een vergelijkbare grootte en een blauw mozaïekpatroon op het achterlijf. Dit patroon is welbeschouwd echter anders. De gele spijker ontbreekt en ook de borststuktekening is anders: groen met dikke zwarte lijnen. De glassnijder is een voorjaarssoort, de paardenbijter een (na)zomersoort; de vliegtijd van beide soorten overlapt nauwelijks.

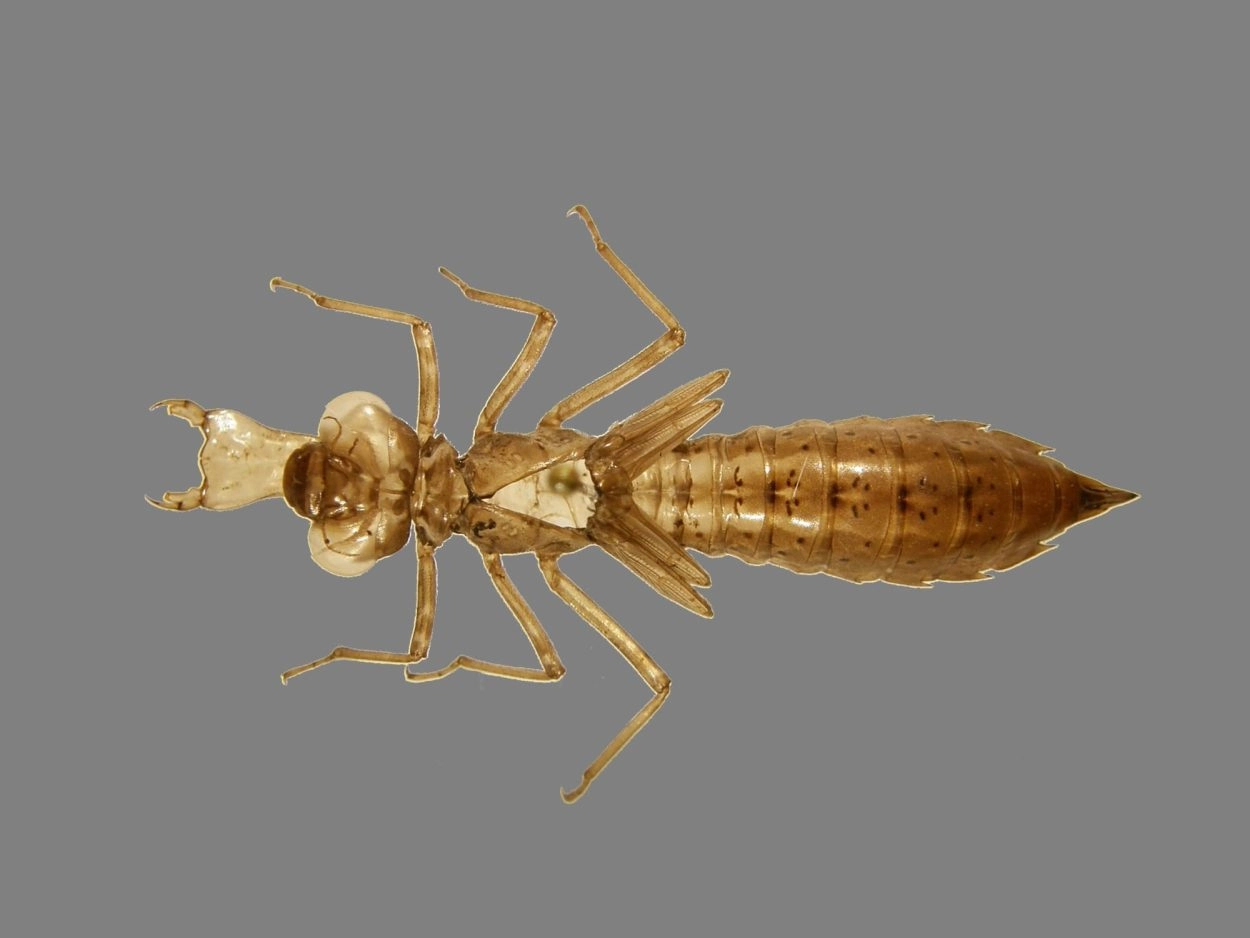
Uiterlijk van de larve

Lengte 29 - 37 mm.Voor een glazenmaker een vrij klein larvenhuidje, cercus ongeveer de helft van de paraproct, en een zijdoorn aanwezig op segment 6. Het vangmasker is lang en met een smalle labiale palp. De achterrand van de ogen licht gebogen, lange zijdoorn op segment 9 die meer dan driekwart van de lengte van segment 10 bereikt.

Verwarring met andere larven

Door de geringe grootte is er vooral verwarring mogelijk met de zuidelijke glazenmaker, die echter relatief een kort prementum heeft. Door het lange prementum kan er wel verwarring optreden met de blauwe glazenmaker, echter de larven hiervan zijn in de meeste gevallen een stuk groter, hebben een sterk gebogen achterrand van de ogen, een brede labiale palp en een kortere zijdoorn op segment 9. Buiten Nederland is er ook verwarring mogelijk met de azuurglazenmaker.

Foto's

Verspreiding

Vliegtijd en gedrag

Laat vliegende soort: van begin juli tot in november, grootste aantallen in augustus en september. Paardenbijters zijn vooral in de middag actief, op warme avonden zelfs tot diep in de schemering. Imago’s worden vaak in groepen aangetroffen, jagend langs bosranden op boomkruinhoogte. Mannetjes vertonen territoriaal gedrag langs de waterkant, maar zijn minder agressief dan andere glazenmakers. Eitjes worden door het vrouwtje afgezet in allerlei levende en dode plantendelen.

Mobiliteit

De paardenbijter is een zwerflustige soort, die grote afstanden aflegt. Incidenteel worden grote groepen zwervers waargenomen, die (buiten Nederland) vele duizenden individuen kunnen omvatten. Ook imago’s van Nederlandse oorsprong die nog niet aan voortplanting toe zijn, hebben geen binding met water en kunnen overal verwacht worden.

Regionaal

Overal in Nederland aan te treffen, met een concentratie van waarnemingen langs de kust.

Europa

Heel Europa, maar in Scandinavië, Groot-Brittannië en Ierland alleen in het zuiden. De noordgrens van het areaal schuift echter verder naar het noorden op, als gevolg van klimaatverandering.

Mondiaal

Oostelijk tot in Japan, zuidelijk tot in Noord-Afrika.

Habitat

Stilstaande en zwak stromende wateren met een rijke moerasvegetatie: poelen, plassen, sloten, laagveen, etc. Soms ook brak water.

Beek

Bosven

Brak water

Duinplas

Heideven

Kanaal

Laagveen

Laagveen, petgat

Laagveen, sloot

Plas

Poel

Sloot

Ven

Vijver/tuin/park

Visvijver

Weidebeek

Benaming

  • Engelse naam Migrant Hawker
  • Duitse naam Herbst-Mosaikjungfer
  • Franse naam Aeschne mixte
  • Oud Nederlandse naam kleine glazenmaker

Meer over de naam

Toelichting Nederlandse naam

Toelichting wetenschappelijke naam
Aeshna= de herkomst van deze naam is onbekend (L.) mixta=vermengd; hoewel deze naam zou kunnen duiden op de gelijkenis met andere glazenmakers worden deze niet genoemd in de beschrijving van Aeshna mixta; daarin staat wel dat het achterlijf gemengd bruin, geel en zwart gevlekt is

Auteursnaam en jaartal
(Latreille, 1805)

Doe mee aan de tuinvlindertelling

Heb je een vlinder of libel gespot? Meld het ons! Jouw waarnemingen zijn waardevol voor het behoud van deze insecten. Samen kunnen we hun populaties in kaart brengen en beschermen. Ga naar onze website en deel jouw observaties. Help mee aan het behoud van deze prachtige dieren en draag bij aan de wetenschap van de biodiversiteit.

Waarneming melden