Vroege glazenmaker

Aeshna isoceles

Vliegtijd & gedrag

Vroege glazenmaker

Verspreiding in Nederland

Vroege glazenmaker

Trends

Levenscyclus

Een of twee jaar. De (eerste) winter wordt doorgebracht als larve, in plaats van als ei zoals bij de meeste andere glazenmakers. Uitsluipen gebeurt vanaf eind april tot eind juli, met een piek in de tweede helft van mei en de eerste van juni. De larvenhuidjes van de vroege glazenmaker zijn variabel van kleur, van bijna zwart tot doorzichtig bruin. De larvenhuidjes zijn in de oevervegetatie tot circa een halve meter hoogte te vinden.

Herkenning

Kenmerken

Lengte: 62-66 mm. Grondkleur achterlijf en borststuk oranjebruin. Achterlijf met fijne zwarte lijnen, maar zonder mozaïekpatroon van lichte vlekjes, zoals bij andere glazenmakers. Bovenzijde segment 2 met citroengele spijkervormige vlek. Ogen opvallend smaragdgroen (uitgekleurde dieren). Zijkant borststuk met twee gele banden. Schouderstrepen afwezig. Basis van achtervleugels met oranje vlek, vooral duidelijk bij mannetje. Vleugels verder helder. Geen noemenswaardige verschillen in tekening tussen mannetje en vrouwtje.

Gelijkende soorten

Gelijkende soorten: Eventueel bruine glazenmaker en zadellibel, die eveneens een bruingekleurd achterlijf hebben. Meer over gelijkende soorten: Bruine glazenmakers hebben ook een bruin achterlijf, maar zonder oranje tint. Bovendien hebben ze duidelijk bruin getinte vleugels. De zeer zeldzame zadellibel heeft een oranjebruin achterlijf, maar met een andere tekening: een brede zwarte lengtestreep en een blauw ‘zadel’ aan de basis. Beide soorten missen de gele spijkervormige tekening aan het begin van het achterlijf en de opvallende groene ogen.

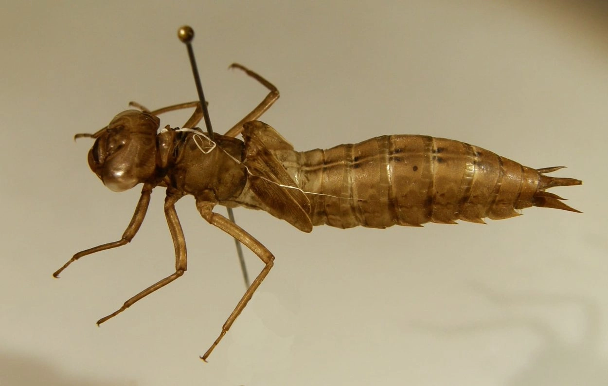
Uiterlijk van de larve

Lengte 38 - 40 mm.Vrij grote en brede glazenmaker. Onder vergroting is de opvallend lange cercus te zien. Verder kun je dan ook zien dat de larve een lange zijdoorn heeft op segment 6 en een brede labiale palp. De achterrand van de ogen is licht gebogen.

Verwarring met andere larven

De larve lijkt door grootte en vorm enigszins op de larve van de groene glazenmaker, de blauwe glazenmaker en de bruine glazenmaker, maar deze soorten hebben korte cerci. De noordse glazenmaker heeft ook lange cerci maar verwarring is haast niet mogelijk door het grote verschil in habitat en moment van uitsluipen.

Foto's

Verspreiding

Vliegtijd en gedrag

De vroege glazenmaker behoort samen met de glassnijder tot de vroegst vliegende glazenmakers. In warme jaren kunnen eind april de eerste imago’s al rondvliegen. De laatste imago’s worden doorgaans eind augustus gezien. De hoofdvliegtijd loopt van eind mei tot half juli. Jonge imago’s kunnen ver van het water jagend worden aangetroffen, bijvoorbeeld langs bosranden. Ook in open rietland kunnen veel jagende imago’s worden aangetroffen. Eitjes worden solitair door het vrouwtje afgezet in levende en dode plantendelen.

Mobiliteit

Mobiele soort, waarvan regelmatig zwervers worden aangetroffen.

Regionaal

Het zwaartepunt van de verspreiding ligt in de laagveengebieden van Overijssel, Friesland, Utrecht en zuidelijk Noord-Holland. Daarnaast wordt de soort steeds vaker aangetroffen op de hoge zandgronden, de Geldersche Poort, Flevoland en de Duinen.

Europa

In Europa heeft de vroege glazenmaker en verbrokkeld verspreidingsgebied, vooral in Zuid-Duitsland, het Iberisch Schiereiland en de noordelijke Balkan. In Engeland en Zuid-Scandinavië slechts in enkele gebieden.

Mondiaal

Europa, het Midden-Oosten en lokaal in Noord-Afrika.

Habitat

Schone stilstaande wateren met een goed ontwikkelde verlandingsvegetatie en oevervegetatie. Vooral in laagveenmoerassen en plassen met vergelijkbare vegetatie, maar steeds vaker ook bij matig voedselrijke vennen. Soms ook bij vegetatierijke kanalen of traag stromende beken.

Beek

Bosven

Duinplas

Heideven

Kanaal

Laagveen

Laagveen, petgat

Laagveen, sloot

Plas

Poel

Sloot

Ven

Vijver/tuin/park

Visvijver

Weidebeek

Benaming

  • Engelse naam Green-eyed Hawker
    Norfolk Hawker
  • Duitse naam Keilflechlibelle
  • Franse naam Aeschne isocèle
  • Oud Nederlandse naam voorjaarsglazenmaker

Meer over de naam

Toelichting Nederlandse naam

Toelichting wetenschappelijke naam
Aeshna= de herkomst van deze naam is onbekend (Gr.) isos=gelijk, skelos=been; duidt op de gelijkbenige gele driehoek op het tweede achterlijfssegment

Auteursnaam en jaartal
(Müller, 1767)

Doe mee aan de tuinvlindertelling

Heb je een vlinder of libel gespot? Meld het ons! Jouw waarnemingen zijn waardevol voor het behoud van deze insecten. Samen kunnen we hun populaties in kaart brengen en beschermen. Ga naar onze website en deel jouw observaties. Help mee aan het behoud van deze prachtige dieren en draag bij aan de wetenschap van de biodiversiteit.

Waarneming melden