Kromzitter

Asteroscopus sphinx

Vliegtijd & gedrag

Eind september-eind november in één generatie. De vlinders komen goed op licht, de vrouwtjes vaak vroeger op de avond dan de mannetjes.

Kromzitter

Verspreiding in Nederland

Kromzitter

Trends

De grafiek toont de populatietrend van de soort op basis van tellingen binnen het NEM‑meetnet Nachtvlinders. Wanneer de grafiek leeg is, betekent dit dat de soort in de afgelopen drie jaar op te weinig meetpunten is waargenomen om een betrouwbare trend te kunnen berekenen. Komt de soort bij jou in de buurt voor en wil je tijdens de vliegtijd eens per twee weken met een lichtval tellen en de gegevens invoeren op meetnet.vlinderstichting.nl? Stuur dan een e‑mail naar meetnet@vlinderstichting.nl om je aan te melden als teller.

Levenscyclus

Rups: april-juli. De rups is vooral ´s nachts actief. De verpopping vindt plaats in een cocon diep in de grond. De eieren worden in kleine groepjes in een spleet of op een boomstam afgezet en overwinteren.

Herkenning

Kenmerken vlinder

Voorvleugellengte: 17- 22 mm. Deze uil heeft een karakteristiek uiterlijk door het forse, sterk behaarde borststuk en de streperige brede voorvleugel. De grondkleur van de voorvleugel is doorgaans lichtgrijs of bruinachtig staalgrijs; sommige exemplaren zijn meer olijfkleurig bruin. De lange zwarte streep in het wortelveld is altijd goed zichtbaar en in het zoomveld bevindt zich een lichte, diep zigzaggende golflijn. Er is weinig variatie. Het mannetje heeft geveerde antennen.

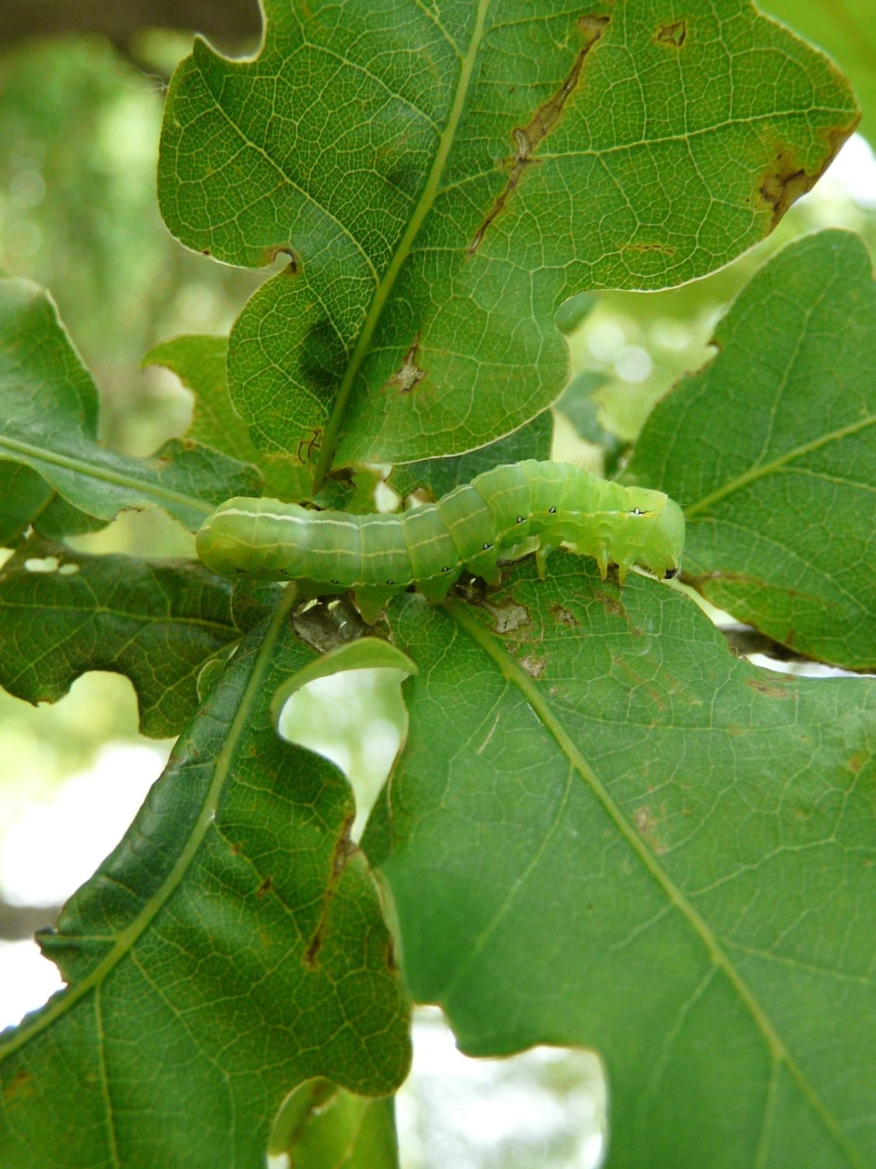
Kenmerken rups

Tot 50 mm; plomp, met op de rug van het elfde segment een duidelijke bult; lichaam helder groen met over de rug drie geelachtig witte lengtestrepen en vlak achter de kop een witachtige dwarsband; over de zwartgerande spiracula een geelachtig witte lengtestreep.

Foto's

Verspreiding

Zeldzaamheid

Zeer algemeen. Een soort die vooral voorkomt op de zandgronden in het binnenland; elders af en toe een waarneming. RL: niet bedreigd.

België

In Vlaanderen vrij algemeen ten oosten van de lijn Antwerpen-Brussel, lokaal in de Vlaamse Ardennen en nagenoeg ontbrekend in de rest van Oost- en West-Vlaanderen. Lokaal talrijk. In Wallonië wijdverbreid en algemeen. De soort staat op de Rode Lijst van Vlaanderen als Momenteel niet in Gevaar (Veraghtert et al. 2023).

Mondiaal

In Europa vooral in het centrum. Naar het noorden tot Noord-Engeland, Denemarken, Zuid-Zweden, Oost-Pruisen (Königsberg) en Moskou. Naar het zuiden vooral in montane loofbossen, Noord-Spanje, de zuidrand van de Alpen, Midden-Italië en Noord-Griekenland. Naar het oosten Tukije, de Kaukasus en, voor zover wij weten, niet verder Azië in.

Habitat

Loofbossen en andere bosachtige gebieden; ook duinen en tuinen.

Bosachtige gebieden

Duinen

Loofbossen

Tuinen

Waardplanten

Allerlei loofbomen en struiken, waaronder sleedoorn, sporkehout en eik.

Eik

Sleedoorn

Vuilboom

Benaming

  • Engelse naam Sprawler
  • Duitse naam Herbst-Rauhhaareule
  • Franse naam la Noctuelle -Sphinx
    la Noctuelle de Cassini
  • Synoniemen Brachionycha sphinx
    Asteroscopus cassinia

Meer over de naam

Toelichting Nederlandse naam
Kromzitter is een al lang bestaande naam die al gebruikt wordt door Ter Haar in ‘Onze vlinders’ (begin vorige eeuw).De opgerichte houding van de rups in rust vormt de achtergrond van deze soortnaam. Meer over Nederlandse namen Meer over Nederlandse namen

Toelichting wetenschappelijke naam
sphinx: sphinx wijst waarschijnlijk op de bult van segment 8 van de rups; die bult doet denken aan de ‘staartjes’ van de rupsen van de Linnaeus familie Sphingidae. Ook wordt wel gewezen op de houding van de rups in rust; de naar achteren geheven kop maakt een raadselachtige indruk. De sphinx was ooit een monster die raadsels opgaf. Zie ook bij Sphinx ligustri. De plaats van deze soort in het hele vlindersysteem vormde een flink probleem maar daar heeft Hufnagel zich waarschijnlijk niet druk om gemaakt. Hier wil ik ook nog even wijzen op het synoniem cassinia (D & S, 1775); cassinia kwam van Dominic Cassini, een groot Italiaans sterrenkundige; ook de rups kijkt dromend naar de sterrenhemel als hij zijn kop heeft geheven.

Auteursnaam en jaartal
(Hufnagel, 1766)

Geef je waarneming door!

Heb je een bijzondere vlinder of libel gezien? Meld het ons! Jouw waarnemingen zijn waardevol voor het behoud van deze insecten. Samen kunnen we hun populaties in kaart brengen en beschermen. Help mee aan het behoud van deze prachtige dieren en draag bij aan de wetenschap van de biodiversiteit.

Waarneming melden